阿摩線上測驗
登入
首頁
>
飛航管制(包括飛航規則)
> 102年 - 102 公務人員等考試_簡任_航空駕駛:飛航管制研究(包括飛航規則)#23461
102年 - 102 公務人員等考試_簡任_航空駕駛:飛航管制研究(包括飛航規則)#23461
科目:
飛航管制(包括飛航規則) |
年份:
102年 |
選擇題數:
0 |
申論題數:
3
試卷資訊
所屬科目:
飛航管制(包括飛航規則)
選擇題 (0)
申論題 (3)
一、CNS/ATM 的發展基本上係採用先進的技術來提昇國家空域系統(National Airspace System, NAS)飛航管制作業上的不足。請就 CNS/ATM 中(一)通訊(Communication)、 ⑵ 導航( Navigation ) 、 (二) 監視( Surveillance ) 與(三)飛航管理( Air Traffic Management),說明這四項飛航管制操作的技術核心與性能提昇,為飛航管制系統 上帶來的精確性、便利性與安全性,請依你的專業知識做詳細的說明與討論。(各 項 10 分,合計 40 分)
二、廣播式自動回報監視(Automatic Dependent Surveillance - Broadcast, ADS-B)系統係 採用不同於二次雷達的搜索掃瞄以及詢答器(Transponder)數據下傳(data down link)的技術。請參照飛航管制作業的特性,探討如何將自動回報監視系統,配合 機載衛星定位訊號,建立飛機與飛機間的隔離判斷,來建立航情警示與空中防撞系 統(Traffic Alert and Collision Avoidance System, TCAS)。請依你的專業知識做詳細 的說明與討論系統訊號的傳播及處理過程的可行方案。(30 分)
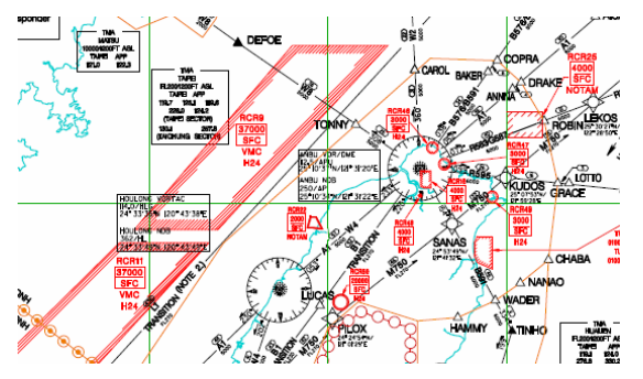
【已刪除】三、某航空公司飛機將降落桃園機場攔截下滑道 05R 跑道進場落地,飛機剛穿越中信標 台(Middle Marker, MM),駕駛因故決定重飛,請參考下圖說明管制員如何協助飛 行員執行重飛程序?請依你的專業知識做詳細的說明與討論必要的步驟、等待及進 場各項指示。
相關試卷
114年 - 114 公務升官等考試_薦任_航空管制:飛航管制(包括飛航規則)#133149
114年 · #133149
112年 - 112 公務升官等考試_薦任_航空管制:飛航管制(包括飛航規則)#117120
112年 · #117120
112年 - 112 高等考試_三級_航空駕駛(選試直昇機飛行原理):飛航管制(包括飛航規則)#115454
112年 · #115454
111年 - 111 民航特種考試_三等_飛航檢查:飛航作業規則#110643
111年 · #110643
111年 - 111 高等考試_三級_航空駕駛(選試直昇機飛行原理):飛航管制(包括飛航規則)#109225
111年 · #109225
110年 - 110 公務升官等考試_薦任_航空管制:飛航管制(包括飛航規則)#103439
110年 · #103439
110年 - 110 高等考試_三級_航空駕駛(選試直昇機飛行原理):飛航管制(包括飛航規則)#102416
110年 · #102416
110年 - 110 民航特種考試_三等_飛航檢查:飛航作業規則#101056
110年 · #101056
109年 - 109 民航特種考試_三等_飛航檢查:飛航作業規則#90907
109年 · #90907
109年 - 109 高等考試_三級_航空駕駛(選試直昇機飛行原理):飛航管制(包括飛航規則)#88871
109年 · #88871