阿摩線上測驗 登入

109年 - 109 專技高考_建築師:敷地計畫與都市設計#93157

科目:敷地計畫與都市設計 | 年份:109年 | 選擇題數:0 | 申論題數:4

試卷資訊

所屬科目:敷地計畫與都市設計

選擇題 (0)

申論題 (4)

二、設計題:
(一)題目:都市國民小學新校園
(二)題旨:
        當前臺灣正處在新一波的重大轉型階段,產業經濟部門發展面臨 更嚴峻國際競爭而全面藉由新數位網路科技以轉型因應,整體社會人 文向度也因人口結構變化、世代價值觀改變、生活文化水準提升而朝 向市民社會發展。
         在都市區則透過都市更新、都市危險及老舊建築物加速重建之條 例,正推動都市空間改造,從低層到高層、從舊時街巷紋理過渡到大 型街廓或較大量體規模發展,尤其在都會區可期待更多更快的都市空 間轉變。
        各階段的國民教育也積極改革,從強調記誦/解題能力轉向培養創 造力/思考力方向,要求人格素養勝於分數競爭,亟思以更接軌未來的 教育體系來栽培國家社會的新公民。只是,對照目前多數國中小校園 型態,仍多沿用整齊劃一的「校舍-操場」之配置模式,在鼓勵創新教 學之整體環境上似乎還有很大改善空間。 
        因此,原來即作為鄰里核心元素的市區國民小學校園,今天作為1.教育改革的相應空間型態翻轉,2.都市空間轉型過程的公共介面之新基盤,應該有機會扮演一個新的學習型與社會性關係轉化之空間 機制。
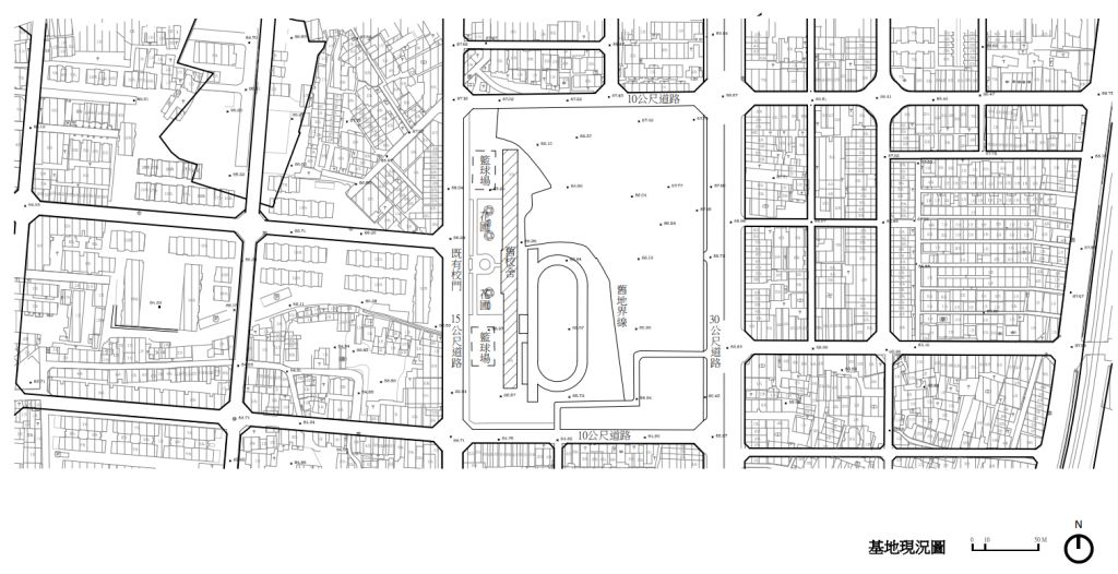
(三)基地概況:
        本國小位於臺灣某都會市區,自成立以來,已有半世紀歷史,原 有校舍因受限於原基地大小,於西側形成南北走向的直條型三層樓校 舍。現在該校獲撥原基地東側土地,正式擁有一完整街廓之校地,而 且舊校舍已不堪使用而計劃拆除,因此有整體校園重新規劃設計之提案 需求。
        目前基地西側原低矮眷村已改建成12~16層集合住宅高樓,其餘 周遭低矮社區將可依現行之「都市危險及老舊建築物加速重建條例」, 往較大基地規模、較高層化方向發展,未來此區域之舊有低層社區將 逐漸轉變成更多新建高樓之社區方向發展。
        校地方正完整,面積約4公頃,西鄰15公尺道路,東鄰30公尺道路, 南北皆鄰接10公尺道路。基地內地面北高南低,高程坡度約為1%左右。 新校園四周外圍除人行道外緣種植成排樹木外,基地境界線退縮5公 尺內為連續林木綠地,除人車出入需要或特殊考量外,希望能儘量保 留此綠地之連續性。
 (四)設計內容:
本題之設計內容分為分區規劃與國小規劃設計兩部分,詳細規劃內容 請參照下列說明。
1.分區規劃部分:
   ⑴分區規劃空間需求參考資料如下:(僅作規模尺度、量體推估之參考)
     ①國民小學部分: 1~6年級教室共18間(每間面積至少72平方公尺)、專科教室8 間(每間面積至少為普通教室之1.5倍)、行政辦公室及其他服 務設施(廁所、儲藏室、機房等)共計20個單元(每單元面積 等同普通教室大小)。
     ②幼兒園部分:(考量幼兒安全及家長接送需求) 6間室內活動室,每間面積至少75平方公尺及遊戲室4間(面積 至少為普通教室之1~1.5倍),以及園長室及辦公室(共70平方 公尺)、其他服務設施(廚房、廁所、茶水間、儲藏室等)及戶 外遊戲場設施。
     ③社區長青學院: 健身房(100平方公尺)、韻律/瑜珈教室(70平方公尺)、烹飪及 烘焙教室(各70平方公尺)、普通教室4間(每間70平方公尺, 可彈性使用)、行政辦公室(70平方公尺)及服務設施(廁所、 茶水間、儲藏室等)。
     ④時段性社區共享使用之設施: 綜合活動中心(內含一個標準籃球場空間)、圖書館、戶外運動 場、停車場(全區提供100個停車位,地面停車位至少共20輛車 位)等。
⑵分區規劃內容重點:
     ①劃設上列四種類別設施之使用範圍(全區所有權歸屬國小,惟 第2、3類之幼兒園與長青學院部分為無償撥用,第4類之時段性 共享設施仍由國小管理)。
     ②標示開放空間留設及相互連結關係。
     ③交代主要及次要出入口、交通動線及服務動線之構想。
     ④全區土地使用請參考下列配比原則:各種校舍建築用地約占全 區面積之30%,運動空間占約30%,綠地、庭園及步道占約40%。
2.國小規劃設計部分:(原三層樓校舍拆除,其餘設施之處理可自行決定)
  ⑴國小規劃設計空間需求參考資料如下:
      ①小學1~6年級,每年級3間教室,每教室可容納至多30位學生上 課、每間教室面積72平方公尺以上,另加8間專科教室(面積至 少為普通教室之1.5倍);單邊走廊淨寬2.5公尺以上,兩邊有教 室之中央走廊淨寬3公尺以上,樓梯淨寬1.4公尺以上,樓梯逃生 距離不得超過50公尺。
     ②校長室、總務處、教師辦公室、健康中心、體育室、輔導處、 教材準備等共20個普通教室單元(含服務設施如廁所、茶水間、 儲藏室等)。
     ③時段性社區共用活動中心(可設室內籃球場一座)及圖書館(附 設2~3間教室供日夜間彈性使用),並考慮部分地面停車需求。
     ④戶外運動場(200公尺跑道)、籃球場(至少2面,標準尺寸16公 尺×28公尺)、兒童遊戲場、樂齡遊具區等。
  ⑵國小規劃設計內容重點:
     ①請依前項分區規劃單獨進行國小校園部分之規劃設計。原則上 為無圍牆或少圍牆校園,僅須考慮建築物內部門禁管理。
     ②室內外配置須反映高低年級之體型、活動力及認知力之差異, 以及學習自主性之提升。
     ③新校園規劃請儘可能考慮促成友善性、多元性、自由/自主多於 監控/管制、場所塑造多於象徵形式的學習空間關係及環境品質,主要教學活動建築以不超過三層樓為原則。
(五)圖說要求:(比例尺自訂並清楚標示)
      1.分區規劃圖(25分)
         ---各分區之範圍劃設及空地留設(含臨街面退縮、鄰棟間隔考量、 廣場及遊戲場安排、主次出入口及服務動線安排、停車場出入、區 內連結及通道配置),請考慮各分區內功能之連結與整合、以及全區 與周邊環境之整體性關係。
      2.國小規劃設計圖(請注意建築平面圖並非必要)
        ---地面配置圖(請交代國小普通教室單元含專科教室及走廊穿堂之 配置形態、垂直動線及服務設施如廁所之安排、行政辦公區、花圃 植栽、廢棄物回收處理、停車及上下學接送配置安排)。(35分) ---透視示意圖(請交代樓層高度及主要空間分布)。(10分)
⑹基地現況圖(見下附圖)
5fbcaedc077b7.jpg