阿摩線上測驗 登入

92年 - 92 專技高考_建築師:建築計畫與設計#101834

科目:建築計畫與設計 | 年份:92年 | 選擇題數:0 | 申論題數:1

試卷資訊

所屬科目:建築計畫與設計

選擇題 (0)

申論題 (1)

一、題目:城市藝術中心
二、計畫緣起:
中部某城市得到一家知名的高科技公司贊助
生代藝術家之創作,並促進國際當代藝術之交流,擬利用市區中的一筆社教用地興建城市藝術中心。該用地建蔽率 50%,容積率 240%,土地面積約 1500 平方公尺。(參見基地概況圖說)
三、計畫內容:
本中心預計完成後委由民間的藝術基金會經營,以「視覺藝術」與「表演藝術」為主要對象,最重要的功能有三:
(一)提供國內外當代藝術展演使用,包含邀請展與申請展;
(二)提供國內外藝術家進駐創作,進駐期限為三個月;
(三)提供市民參與藝術相關活動,策動城市藝術節,定期與不定期舉辦講座、論壇、研習、藝術欣賞、以及藝術家工作室開放。
四、空間需求:
(一)大小展示空間(600 m2):大型(400 m2),小型(200 m2)各一間。
(二)劇場空間(250 m2):供劇團排練與表演使用。
(三)藝術家工作室(600-800 m2):供 15 至 20 位藝術家進駐使用。
(四)多用途空間(200 m2):兩間,供各類講座、研習、聚會。
(五)藝術圖書資訊區(250 m2):數位影音、書籍、雜誌之查詢與閱覽。
(六)咖啡餐飲區(120 m2):足以容納 30 至 40 人用餐與交誼。
(七)藝文商品區(60 m2):各類藝文商品之展示與販售。
(八)行政辦公區(100 m2):包含主任室以及 6 至 8 位工作人員。
(九)其他自定空間
五、圖說要求:
(一)建築計畫部分(40 分)
依據前述之計畫內容與空間需求,提出較完整的空間計畫。應就本中心之基本功能與空間需求項目進一步探討細部之內容,並以適當的圖面(平面、剖面、或簡圖)顯示重要空間以及整體建築應考量之事項。(例如空間之形式、尺寸、特性、與彼此間之關係)
(二)建築設計部分(60 分)
依據所提之建築計畫進行建築設計。設計圖面應該包含全區配置圖、各層平面圖、重要之剖面圖及立面圖。設計說明應以簡圖與文字表達主要的設計構想以及相關的設計思考,例如基地分析、空間組織、構造系統、造形策略、物環評量、法規檢討等等。圖面之比例尺依需要自行決定,一般以 1/100 與 1/200 為原則,亦可選擇更大或較小之比例尺以為清楚之表達。
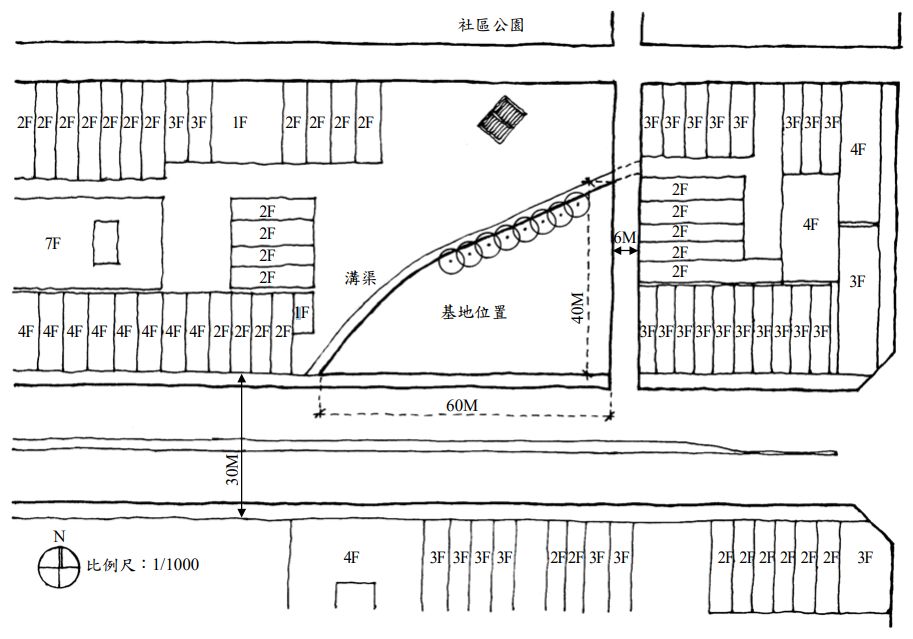
六、基地概況:
(一)本基地之形狀大致為一直角三角型。臨主要道路之長度約有 60 公尺,短邊約 40公尺,鄰接 6 公尺巷道,斜邊以一條溝渠為界,其間有一排老樹,界外為民地,現有一棟閒置之民宅坐落於田野中。基地附近大多為二至四層的透天厝。
(二)藝術中心的主要出入口設在南邊,面臨 30 公尺的市區道路。
615a770399cff.jpg